HEB Pad Site Ground Lease – Bryan, Texas
Building Specifications
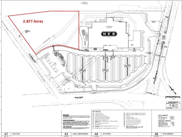
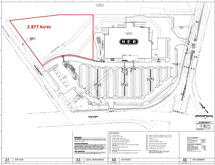
Total Space Available
2.877 AC
Property Type
Grocery Anchored Pad Site
Property Subtype
Retail
Proposed Use
Retail/Restaurant/Financial/Office
Building Area
Approx. 15,000 SF
Land & Zoning
Land Area
2.877 Acres
Zoning
Commercial
Leasing & Financials
Lease Rate
$120,000/Year
Restrictions
TBD
